REQUEST A TOUR If you would like to see this home without being there in person, select the "Virtual Tour" option and your agent will contact you to discuss available opportunities.
In-PersonVirtual Tour

Listed by RE/MAX Integrity • 541-345-8100
$ 455,000
Est. payment /mo
Active
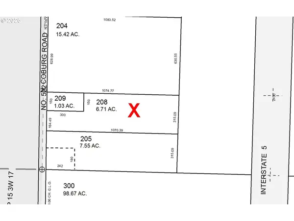
N COBURG RD Harrisburg, OR 97446
6.71 Acres Lot
UPDATED:
Key Details
Property Type Vacant Land
Sub Type Industrial
Listing Status Active
Purchase Type For Sale
MLS Listing ID 695944930
HOA Y/N No
Annual Tax Amount $43
Tax Year 2024
Lot Size 6.710 Acres
Property Sub-Type Industrial
Property Description
6.71 acres, Limited Industrial zoned property approx. 1.5 miles from I-5 Exit 209. Gated access entry. Well installed. 300'x120' retention pond.
Location
State OR
County Linn
Area _221
Zoning LI
Exterior
Utilities Available ElectricityAvailable, PhoneAvailable, Well
Waterfront Description Other
View Mountain, Pond
Garage No
Building
Lot Description Gated, Pond, Public Road
Schools
Elementary Schools Harrisburg
Middle Schools Harrisburg
High Schools Harrisburg
Others
Acceptable Financing Cash, Conventional
Listing Terms Cash, Conventional








